【中交城投松江项目】效果图曝光,预计将于3月初开放展厅!
上海搜狐焦点 2023-02-14 16:09:56
用手机看
扫描到手机,新闻随时看
扫一扫,用手机看文章
更加方便分享给朋友
项目此前也已公布规划设计方案,并于日前曝光效果图。
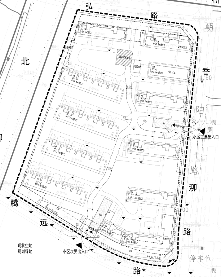
在上海2022年第二轮土拍中,广东中交城市投资发展有限公司(中交)以总价约3.89亿元竞得松江区车墩镇SJC10027单元14-05号地块,楼面价16042元/㎡,溢价率0.26%。
项目此前也已公布规划设计方案,并于日前曝光效果图。

项目紧邻两条天然水系,自然条件优越,规划用地面积20205.8㎡,容积率约1.2,绿化率约35%,整盘共计240套可售房源。主要建筑类型为洋房(5-11层)、叠加(4-6层)。
声明:本文由入驻焦点开放平台的作者撰写,除焦点官方账号外,观点仅代表作者本人,不代表焦点立场。


