联发青浦项目「联发时光新澍」展厅即将开放,建面约92-170㎡洋房待上市
扫描到手机,新闻随时看
扫一扫,用手机看文章
更加方便分享给朋友
联发青浦项目案名发布:「联发时光新澍」预计10/1吾悦广场展厅开放!建面约92-170㎡洋房待上市!
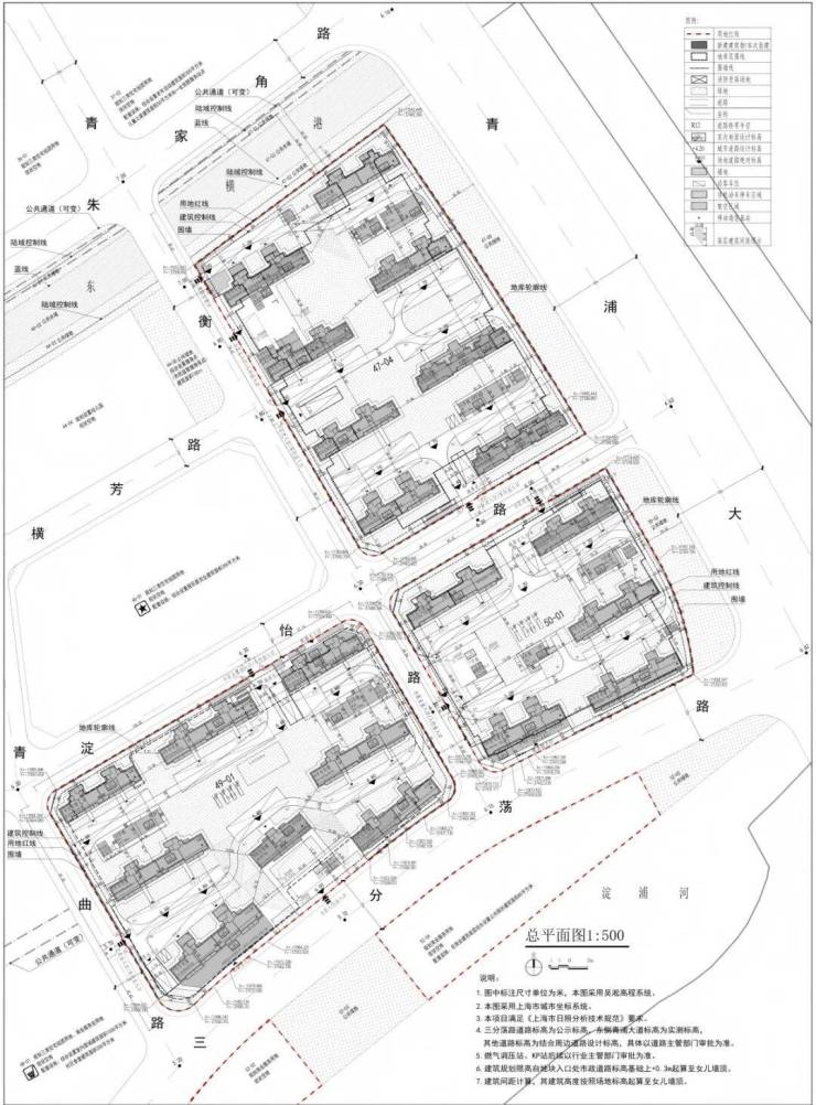
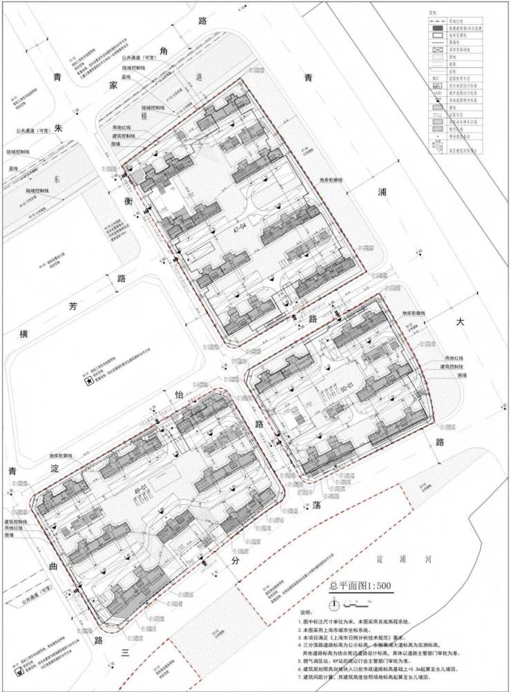
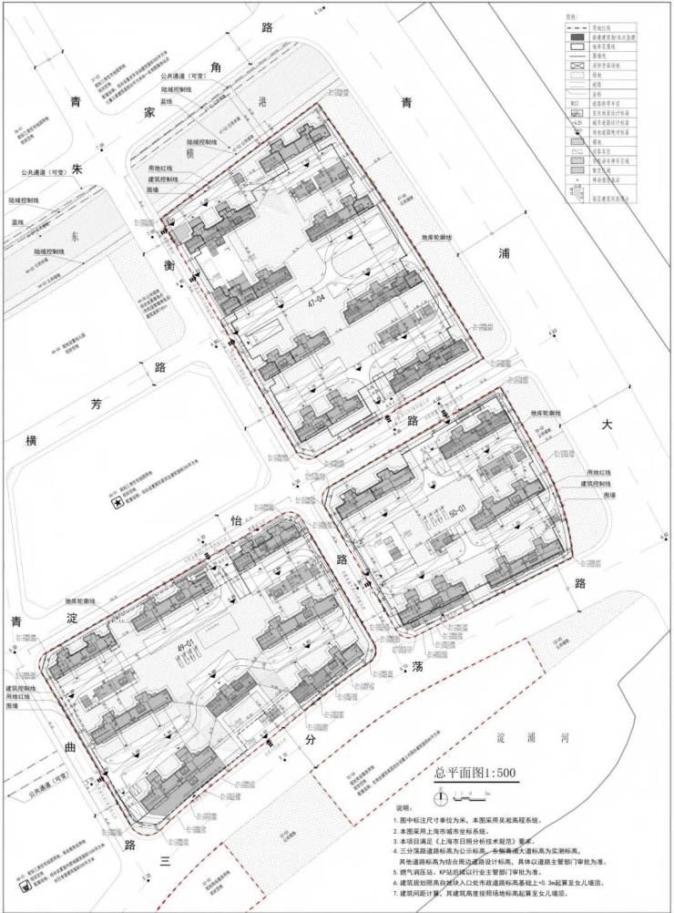
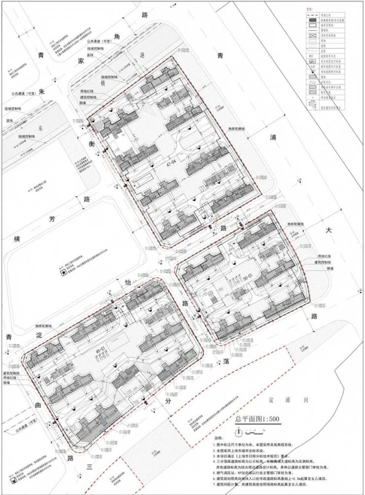
7月24日,第六批次土拍首日,联发以总价219480万元竞得青浦区QPC10004、QPC10005单元47-04、49-01、50-01地块。
联发集团成立于1983年,是《财富》世界500强企业厦门建发集团旗下核心企业;深耕上海四年六作——新天地风貌别墅、金海雲墅、时光新澍、金海汀雲台、青云上、光合臻园,构筑全系作品,与城市共生长。
联发·时光新澍位于青浦新城核芯,也是目前重点建设的"青浦新城-未来样板区"。作为"高颜值、最江南、创新核、温暖家"城市愿景的缩影,未来样板区不仅承接成熟资源,更优先享受高能级配套的持续落地,也是青浦迈向“长三角服务枢纽”的首排主场。
项目共规划30幢住宅,其中47-04地块建设8幢14-17层高层住宅,49-01地块建设7幢13-14F高层和1幢5F多层,50-01地块规划建设4幢14-17层高层和1幢6F多层。三个住宅地块均做了局部首层架空,49-01 地块配置了一个 300㎡的生境花园。
17号线串联万亿产业、百万人才,是驱动长三角一体化发展的经济脊梁。联发·时光新澍以此为脉,高效衔接西岑科创中心、市西软件信息园、虹桥国际开放枢纽等关键节点,从容链接产业机遇与都会精彩。
声明:本文由入驻焦点开放平台的作者撰写,除焦点官方账号外,观点仅代表作者本人,不代表焦点立场。


