高分预定!15号线地铁房,指导价5.7万/㎡
扫描到手机,新闻随时看
扫一扫,用手机看文章
更加方便分享给朋友
据较新消息,宝山中外环15号线地铁口,大华朗香公园映将推出683套住宅,主力户型为约79-129㎡2-4房,房地联动指导价约5.7万/㎡。
据爆料,项目首开将推出约79㎡2房170套(两梯五户),约99㎡3房234套(一梯两户),约129㎡4房58套(一梯两户)。
曝光的户型图如下:
(仅供参考,以官方公示为准)
约99㎡3房2厅2卫
约131㎡4房2厅2卫
项目效果图如下
大华朗香公园映是由两幅地块组成的。
去年6月,在上海首批集中供地中,大华以底价14.6亿元竞得大场联东村“城中村”改造区域Q1-09、S1-04地块。
两地块分列祁连山路左右,都靠近15号线丰翔路地铁口。

地块区位示意图
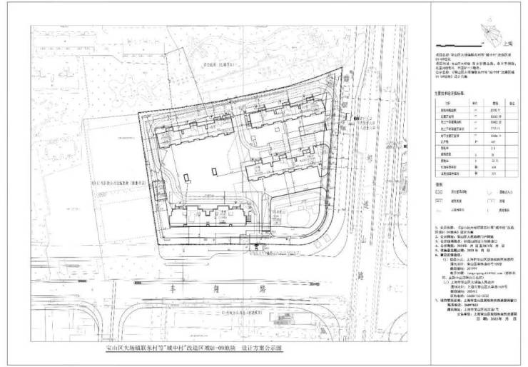
根据规划,Q1-09地块总建面83562.09㎡,拟建4栋住宅,1栋商业,规划总户数462户,容积率2.5,机动车停车位674个。
Q1-09地块规划
S1-04地块总建面21532.94㎡,拟建2栋住宅,另有沿街的2层商业配套,规划总户数221户,容积率2,机动车停车位117个。
S1-04地块规划
总体来说,大华朗香公园映位于宝山中外环,而且还是15号线地铁口的房子,户型又以中小户型为主,对较低预算刚需客户友好。
可以说,大华朗香公园映已经提前预定了高分大热门,后续项目更多进展,血拼上海楼市将持续关注。
声明:本文由入驻焦点开放平台的作者撰写,除焦点官方账号外,观点仅代表作者本人,不代表焦点立场。


