首轮土地出让名单曝光!古美、梅陇纯宅地将供应超千套房源
扫描到手机,新闻随时看
扫一扫,用手机看文章
更加方便分享给朋友
最新消息!2024年上海第一轮集中供地要来了!
从网络流出的名单看,共涉及6宗宅地,分布在闵行、杨浦、静安、宝山、奉贤。网传的名单如下:(仅供参考,以实际公示为准)
闵行古美17-01、21-01地块
闵行区古美北社区S11-0501单元17-01、21-01地块东至梅富路、南至梅南路、西至集心路、北至规划01-26-03、01-26-04地块。地块距离9号线星中路站、12号线虹莘路站直线距离约1.3公里。
古美北社区近年来诞生了不少热门项目,如古美华府、古美华庭等,其均价为82500元/㎡。17-01、21-01地块正位于古美华庭西侧。两幅地块均为三类住宅组团用地,出让面积共计31521㎡,容积率2.0,预计可提供600套+住宅。
闵行梅陇01-26-01地块
闵行区梅陇社区MHPO0303单元01-26-01地块北至宝兰路、东至星中路,地块东北侧即是已经售罄的越秀仁恒天樾园和。同板块内在售的有中国铁建万科朗拾花语,均价77282元/㎡。
01-26-01地块规划为纯住宅,容积率2,高度50米,住宅套数918套。地块距离15号线景西路站直线距离约700米,轨交出行便利。

杨浦长海002-05地块
杨浦区长海社区340街坊002-05地块东至规划路、南至市光路、西至规划路、北至民京路,地块比较迷你,出让面积7459㎡。
002-05地块距离8号线市光路站约800米,用地性质为Rr3Rc类,即三类住宅组团用地和社区级公共服务设施用地混合用地。其中住宅规划130套,另需要建设居委会、菜场、社区食堂、日间照料中心,总建筑面积3480㎡。
静安中兴社区283-22地块(152街坊)
静安区中兴社区C070202单元283-22地块(152街坊) 东至会文路、南至王家宅路、西至规划283-20地块、北至虬江路,临近3/4号线宝山路站,南侧是安康苑及龙盛湾上。
该地块占地面积同样较小,为7290㎡,地块为纯宅地,容积率2.67。其建筑高度为限高80米,预计将建高层。

宝山罗店0216-02/0222-04地块
宝山区罗店镇美罗家园大型居住社区0216-02/0222-04地块东至刁浜路和0222-05地块、南至美爱路和0222-03公共绿地,距离7号线美兰湖站步行约700米。
地块出让面积44103㎡,为商住混合用地,其中0216-02为住宅用地,0222-04地块为商业用地。
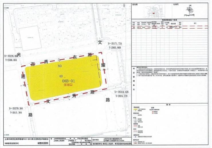
奉贤新城10单元08B-01地块
奉贤新城10单元08B-01地块东至文耀路、南至文秀路、西至光迎路、北至百秀东路,出让面积38060㎡,容积率2.2,建筑高度80米。
地块为商住综合用地,其中住宅套数下限536套。此外,地块需建配套设施:日间照料中心200㎡、老年活动室200㎡、养育托管点360㎡。
声明:本文由入驻焦点开放平台的作者撰写,除焦点官方账号外,观点仅代表作者本人,不代表焦点立场。


