徐汇华泾华之门首期住宅,雍汇庭将推出约95/155㎡高层住宅
扫描到手机,新闻随时看
扫一扫,用手机看文章
更加方便分享给朋友
徐汇华泾华之门首期住宅,雍汇庭将推出建面约95/155㎡高层住宅,预计三季度入市,指导价8.1万/㎡。
2022年9月23日,第三批次集中土拍中,徐汇城投集团联合招商蛇口,以22.6亿元竞得华泾镇xhpo-0001单元d2b-1地块;同时联合嘉华集团、上海龙华,以37.3亿元竞得华泾镇xhpo-0001单元d1-2、d5b-1地块。两宗地块为「华之门」首次出让的地块,一幅为纯宅地,另一幅为商住用地。

示意图
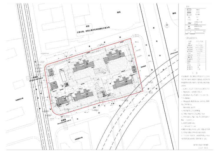
日前,d2b-1地块规划设计方案已公示。
该地块位于华之门综合体东北方位,东至规划绿化,南至华泾路,西至景洪路,北至育实路,土地面积18095.6平方米,容积率2.5。
根据方案,d2b-1地块拟建4栋26层高层住宅和1栋10层保障房,房地联动价8.1万/㎡。

此外,d1-2地块土地面积19086平方米,容积率2.5。按照规划,用途为商品住宅,计划建设高层住宅,主力户型为中小套型。d5b-1地块土地面积26217平方米,容积率5.65。规划用途为商办餐旅用地,计划建设高层及150米超高层的商办楼栋,且规划有餐旅酒店。
声明:本文由入驻焦点开放平台的作者撰写,除焦点官方账号外,观点仅代表作者本人,不代表焦点立场。


