碧云周边|汤臣高尔夫和东郊宾馆之间将建25栋别墅,项目公示中
扫描到手机,新闻随时看
扫一扫,用手机看文章
更加方便分享给朋友
张家浜楔形绿地A2-11地块住宅项目(局部调整)项目规划设计方案公示咯~
2018年9月3日,碧云君也曾向大家介绍这个项目
根据设计方案的细节图来看,这个住宅项目是中式庭院的建设风格,大概会是这个样子。

整个项目被一座待建的体育公园三面环绕,该体育公园占地面积达 14.4万㎡,其中80%为绿地,20%为体育运动设施。
该体育公园类似金桥碧云体育公园,是在主干道和高压线下的一处特别处理,更大的作用是对科苑路交通噪音起到隔离减噪。
还有就是不要忽略一点:龙东大道将要建起高架,对靠近龙东大道一侧的物业来说多少会有影响。
一起来看看张家浜楔形绿地的较新动态吧→

项目介绍
上海浦东土地控股(集团)有限公司
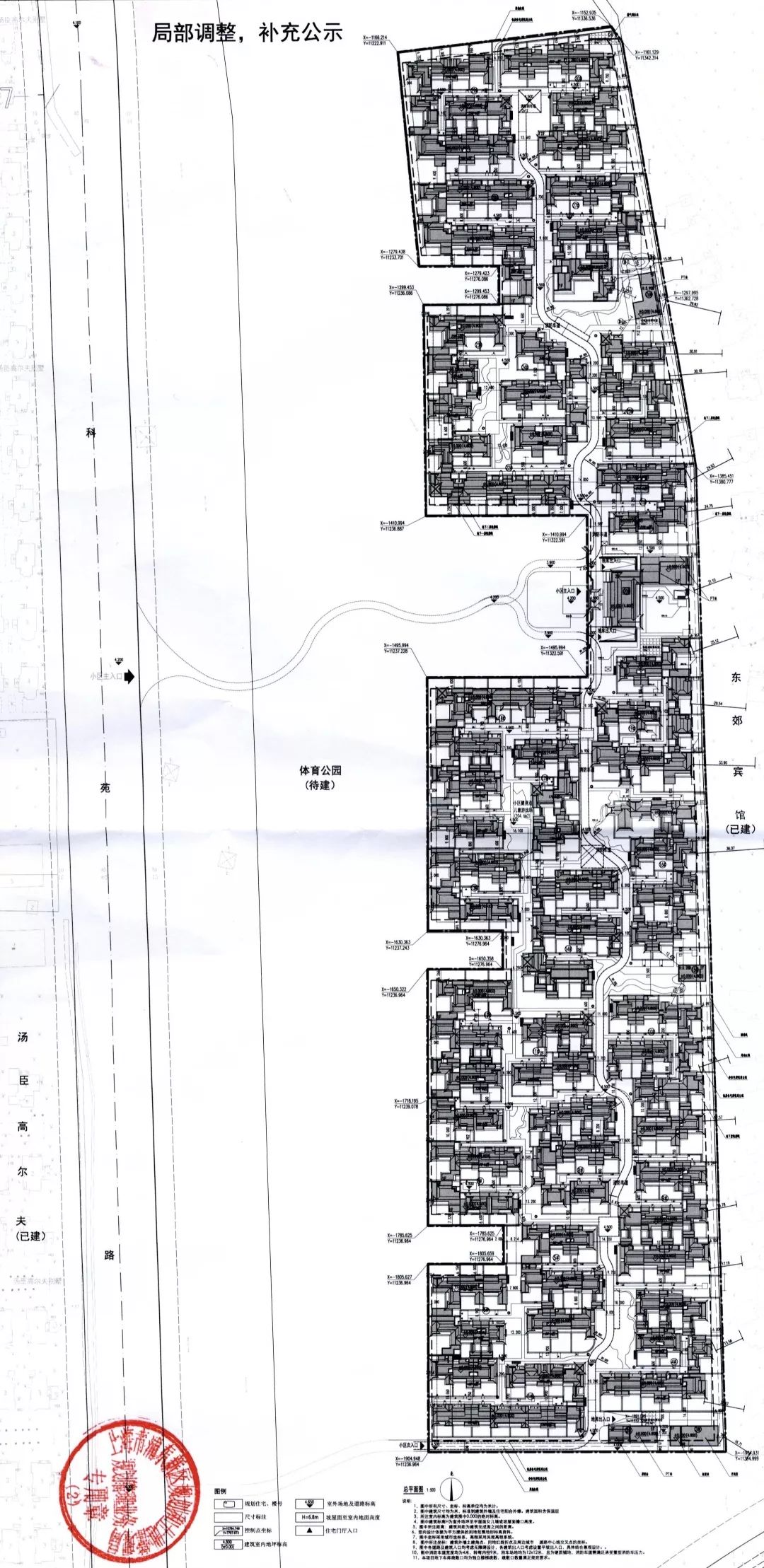
上海市浦东新区张家浜楔形绿地A2-11地块住宅项目(局部调整)

建设用地范围
建设项目处于浦东新区张江镇,东至东郊宾馆、南至龙东大道、西至云山路公共绿地、北至张家浜河道。
建设项目内容
该地块拟建25幢低层住宅、1幢配套用房,6个PT站和1个开闭所。
主要经济技术指标
用地面积:97957平方米
总建筑面积:约162525平方米
(其中,地上建筑面积:68569平方米、地下建筑面积:93956平方米)
公示图


公示预公告期:
2019年1月14日至2019年1月16日
正式公示期限:
2019年1月17日至2019年1月26日
收集意见截止日期:自正式公示结束后七日,信件以寄出邮戳为准。 收集意见邮寄地址:浦东新区锦安东路475号新区规土局,邮编:201204,请在信函封面上注明:“项目方案公示意见”。也可到项目所在相关镇、街道反映。
碧云国际社区
声明:本文由入驻焦点开放平台的作者撰写,除焦点官方账号外,观点仅代表作者本人,不代表焦点立场。


